
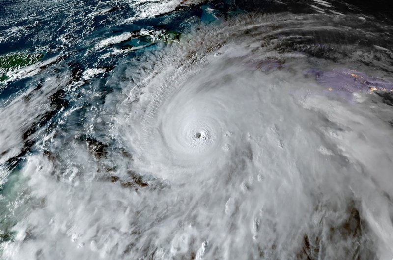
Hurricane Melissa has maintained Category 5 intensity as it approaches Jamaican shores, driving sustained winds near 175 mph and threatening catastrophic, life-threatening flooding and storm surge, according to the National Hurricane Center. Forecasters expect the storm to make landfall around 11:30 am ET today, potentially as the strongest hurricane ever to strike the island.
A Slow-Moving Monster
Melissa is crawling northwest at just 7 mph, giving the storm more time to unleash torrential rain and destructive winds. Surge levels could reach 13 feet along the southern coast, with rainfall totals exceeding 40 inches in higher elevations — conditions likely to trigger widespread flooding and landslides.
‘The Worst in a Century’
Prime Minister Andrew Holness has ordered mandatory evacuations in vulnerable coastal and low-lying regions, stressing that residents must secure property, move to designated shelters and heed all directives without delay.
Officials warn that Melissa could be the most devastating hurricane to hit Jamaica in more than a century.
Neighboring nations, including Cuba and the Bahamas, are now preparing for potential impacts later this week. Though the U.S. mainland is outside the direct path, forecasters say the storm will still generate dangerous surf, rip currents, and coastal flooding along parts of the Florida and East Coast shorelines.
Human Toll and Infrastructure Risks
Even before landfall, power outages have swept through coastal towns, and communication lines are beginning to fail. Shelters are at capacity, with tens of thousands of residents waiting out the storm. Early assessments suggest more than a million people may be directly affected once the eye crosses the coast.
The Bigger Picture
Melissa’s sheer strength and endurance highlight how warming oceans are fueling more powerful, slower, and wetter storms. Its combination of sustained winds, extreme rainfall, and prolonged movement makes it uniquely destructive — prolonging danger long after the center moves inland.
Readovia Insight
Hurricane Melissa is a wake-up call. As climate-driven storms intensify, the economic and operational risks to entire regions are becoming impossible to ignore. From supply chains and agriculture to tourism and insurance, the storm’s ripple effects will reach far beyond Jamaica, testing both resilience and recovery in an era defined by extremes.























































